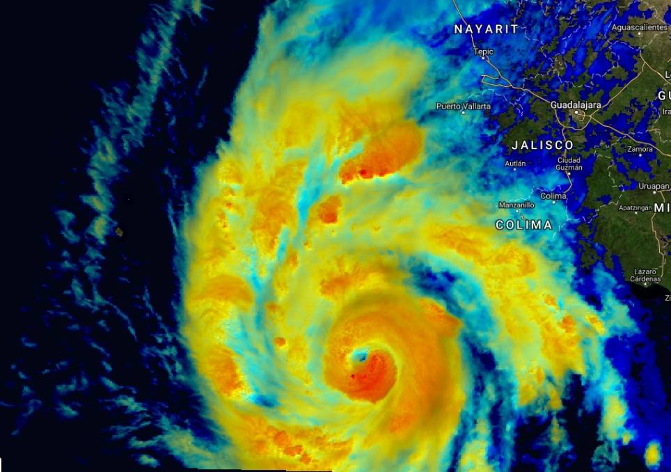
Sube a categoría 5 Willa
Suspenden clases en los estados de Sinaloa y Nayarit al subir de categoría el huracán Willa, por lo que la franja costera de ambas entidades acondicionaron albergues de emergencia por el riesgo de tormentas en dicha zona.
El fenómeno meteorológico es considerado peligroso al subir a categoría 5 en el Océano Pacifico, principalmente en los municipios de Mazatlán y Puerto Vallarta.
De acuerdo la información proporcionada por el Centro Nacional de Huracanes con sede en Miami, se lanzo la alerta de Willa al existir riesgo de marejadas ciclónicas, vientos y tormentas en el suroeste y centro oeste de México a partir de este martes al considerar que el huracán pone en riesgo a la población, no solo de quienes viven en tierra firme, sino también de las islas Marías donde el impacto sería directo para los habitantes y reclusos de esa área.
Juan Teniente. Periodista reconcilió por el Senado de la República en el 2015 por 30 años de trayectoria profesional y con experiencia en el Noreste de México, con base en Monterrey, N.L. Ha sido corresponsal para medios nacionales e internacionales, además de informar de lo acontecido en Nuevo León para UnoTv, Imagen TV, ElHerlado CDMX, Enfoque Noticias CDMX así como CNN en español, así como en Televisa, Multimedios TV, Actualmente Director de www.juantenientenews.com

